Marmara Denizi'nde yaşanan müsilaj, etkisini sürdürmeye devam ediyor.
Haber Giriş Tarihi: 14.03.2025 19:18
Haber Güncellenme Tarihi: 14.03.2025 19:19
Kaynak:
İHA
Şubat ayı sonunda İstanbul başta olmak üzere Marmara Bölgesi'nde etkili olan soğuk ve karlı hava sayesinde yüzeyde bir miktar azalma ve dağılım gösteren müsilajın derinlere indiği gözlemlendi.
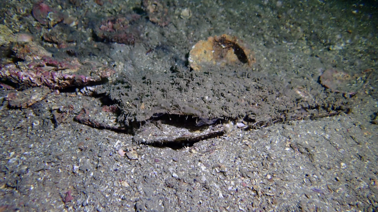
Türkiye'nin ilk mercan nakil projesine ev sahipliği yapan ve Marmara Denizi'nin tek deniz koruma alanı olan Tavşan Adası'nda (Balıkçı Adası) gerçekleştirilen dalışta, Deniz Yaşamını Koruma Derneği dalgıçları Biyolog Ulaşcan Kayataş, Yaban Hayat Ekologu Baran Aksel Keskin ve gönüllü dalıcı Yener Kuşculuoğlu, müsilaj ile kaplanan mercanları temizleyerek onlara yaşam şansı verebilmek için çalışmalarına devam ediyor. 25-35 metre aralığında bulunan mercanların üzerindeki müsilaj dalgıç paletleri kullanılarak uzaklaştırılıyor ve böylece mercanların beslenmesi ve hayatta kalabilmesi sağlanıyor. Midyeler müsilajdan etkilendi
13 Mart'ta yapılan dalış sırasında dalgıç ekibi, koruma alanında bulunan dev midyelerin (pina) müsilajdan olumsuz etkilendiğini ve canlılığını devam ettirmekte zorlandıklarını gözlemledi. Dalış sırasında deniz suyu sıcaklıkları da ölçüldü. Yüzeyde 10C olan su sıcaklığı, derinlere inildikçe kademeli olarak artarak 40 metrede 16C'ye ulaştı. Özellikle 13-25 metre aralığında sıcaklık 11C, 28-35 metre arasında 13C, 35 metrede 14C, 36 metrede 15C ve 40 metrede 16C olarak kaydedildi. Bu veriler, Marmara Denizi'nde deniz suyu sıcaklığının derinliklere bağlı olarak değiştiğini ve müsilajın bu ortamda nasıl hareket ettiğini anlamak açısından önemli bir gösterge oluşturuyor.
Tavşan Adası'nda tüm olumsuzluklara rağmen biyoçeşitlilik artıyor
Marmara Denizi'nin ilk deniz koruma alanı olan Tavşan Adası, tüm olumsuzluklara rağmen biyoçeşitliliğin artmasına destek olmaya devam ediyor. Dalış sırasında koruma alanında yaşamaya başladığı tespit edilen deniz patlıcanları, ekosistem için büyük önem taşıyan canlılar arasında yer alıyor. Bir deniz patlıcanı yılda yaklaşık 150 ton kumu filtre ederek denizlerin temizlenmesine katkıda bulunarak, organik atıkları parçalayıp besin döngüsünü destekliyor. Büyük oranda plankton ve çürüyen organik maddeler ile beslenen deniz patlıcanları, bakterilerin ayrıştırma sürecine de katkı sağlıyor.
Sıcaklığın tetiklediği müsilaj tehlikesine karşı topyekün hareket etme çağrısı
Sanayi ve insan kaynaklı kirlilik ile küresel iklim değişikliği nedeniyle artan deniz suyu sıcaklığının tetiklediği müsilaj felaketine karşı Deniz Yaşamını Koruma Derneği, hem saha çalışmalarıyla müsilajın ekosistem üzerindeki etkilerini en aza indirmek için mücadele ediyor hem de eğitimler ve projeler aracılığıyla kamuoyu farkındalığını artırmayı hedefliyor. Dernek, müsilaj sorununa karşı topyekûn bir mücadele için tüm paydaşlara ortak hareket etme çağrısında bulunuyor.
Deniz Yaşamını Koruma Derneği dalgıçları Biyolog Ulaşcan Kayataş ve gönüllü dalışçı Yener Kuşçuluoğlu yaptıkları açıklamada, "Bu dalışı gerçekleştirdiğimiz bölgenin yüzeyinde müsilaj çok görülmemekle birlikte geçtiğimiz günlerdeki soğuk hava dalgasından kaynaklı dipte çökmüş halde bulunmaktadır. Fakat bu müsilajın bittiği anlamına gelmemeli ve havaların ısınması ile birlikte tekrar yoğun bir müsilaj görülmesi beklenmektedir. Su akıntılı. Akıntı olmasına rağmen müsilaj hala var. Düzenli olarak mercanları paletle yelliyoruz ki mercanların üzeri müsilajdan kurtulsun. Fakat her dalışımızda tekrar akıntıya rağmen müsilaj oluyor. Mercanların hayatlarını devam ettirebilmesi, deniz yaşamının devam etmesi adına bu müsilaj problemine karşı topyekün bir önlem almak durumundayız. Artık bu bölgesel bir afet değil, ulusal bir afet durumuna gelmiş durumdadır. Bu konuda tüm yetkilileri inisiyatif almaya davet ediyoruz" dediler.
Sizlere daha iyi hizmet sunabilmek adına sitemizde çerez konumlandırmaktayız. Kişisel verileriniz, KVKK ve GDPR
kapsamında toplanıp işlenir. Sitemizi kullanarak, çerezleri kullanmamızı kabul etmiş olacaksınız.
En son gelişmelerden anında haberdar olmak için 'İZİN VER' butonuna tıklayınız.
Marmara'da müsilaj tehlikesi devam ediyor
Marmara Denizi'nde yaşanan müsilaj, etkisini sürdürmeye devam ediyor.
Şubat ayı sonunda İstanbul başta olmak üzere Marmara Bölgesi'nde etkili olan soğuk ve karlı hava sayesinde yüzeyde bir miktar azalma ve dağılım gösteren müsilajın derinlere indiği gözlemlendi.

Türkiye'nin ilk mercan nakil projesine ev sahipliği yapan ve Marmara Denizi'nin tek deniz koruma alanı olan Tavşan Adası'nda (Balıkçı Adası) gerçekleştirilen dalışta, Deniz Yaşamını Koruma Derneği dalgıçları Biyolog Ulaşcan Kayataş, Yaban Hayat Ekologu Baran Aksel Keskin ve gönüllü dalıcı Yener Kuşculuoğlu, müsilaj ile kaplanan mercanları temizleyerek onlara yaşam şansı verebilmek için çalışmalarına devam ediyor. 25-35 metre aralığında bulunan mercanların üzerindeki müsilaj dalgıç paletleri kullanılarak uzaklaştırılıyor ve böylece mercanların beslenmesi ve hayatta kalabilmesi sağlanıyor.
Midyeler müsilajdan etkilendi
13 Mart'ta yapılan dalış sırasında dalgıç ekibi, koruma alanında bulunan dev midyelerin (pina) müsilajdan olumsuz etkilendiğini ve canlılığını devam ettirmekte zorlandıklarını gözlemledi. Dalış sırasında deniz suyu sıcaklıkları da ölçüldü. Yüzeyde 10C olan su sıcaklığı, derinlere inildikçe kademeli olarak artarak 40 metrede 16C'ye ulaştı. Özellikle 13-25 metre aralığında sıcaklık 11C, 28-35 metre arasında 13C, 35 metrede 14C, 36 metrede 15C ve 40 metrede 16C olarak kaydedildi. Bu veriler, Marmara Denizi'nde deniz suyu sıcaklığının derinliklere bağlı olarak değiştiğini ve müsilajın bu ortamda nasıl hareket ettiğini anlamak açısından önemli bir gösterge oluşturuyor.
Tavşan Adası'nda tüm olumsuzluklara rağmen biyoçeşitlilik artıyor
Marmara Denizi'nin ilk deniz koruma alanı olan Tavşan Adası, tüm olumsuzluklara rağmen biyoçeşitliliğin artmasına destek olmaya devam ediyor. Dalış sırasında koruma alanında yaşamaya başladığı tespit edilen deniz patlıcanları, ekosistem için büyük önem taşıyan canlılar arasında yer alıyor. Bir deniz patlıcanı yılda yaklaşık 150 ton kumu filtre ederek denizlerin temizlenmesine katkıda bulunarak, organik atıkları parçalayıp besin döngüsünü destekliyor. Büyük oranda plankton ve çürüyen organik maddeler ile beslenen deniz patlıcanları, bakterilerin ayrıştırma sürecine de katkı sağlıyor.
Sıcaklığın tetiklediği müsilaj tehlikesine karşı topyekün hareket etme çağrısı
Sanayi ve insan kaynaklı kirlilik ile küresel iklim değişikliği nedeniyle artan deniz suyu sıcaklığının tetiklediği müsilaj felaketine karşı Deniz Yaşamını Koruma Derneği, hem saha çalışmalarıyla müsilajın ekosistem üzerindeki etkilerini en aza indirmek için mücadele ediyor hem de eğitimler ve projeler aracılığıyla kamuoyu farkındalığını artırmayı hedefliyor. Dernek, müsilaj sorununa karşı topyekûn bir mücadele için tüm paydaşlara ortak hareket etme çağrısında bulunuyor.
Deniz Yaşamını Koruma Derneği dalgıçları Biyolog Ulaşcan Kayataş ve gönüllü dalışçı Yener Kuşçuluoğlu yaptıkları açıklamada, "Bu dalışı gerçekleştirdiğimiz bölgenin yüzeyinde müsilaj çok görülmemekle birlikte geçtiğimiz günlerdeki soğuk hava dalgasından kaynaklı dipte çökmüş halde bulunmaktadır. Fakat bu müsilajın bittiği anlamına gelmemeli ve havaların ısınması ile birlikte tekrar yoğun bir müsilaj görülmesi beklenmektedir. Su akıntılı. Akıntı olmasına rağmen müsilaj hala var. Düzenli olarak mercanları paletle yelliyoruz ki mercanların üzeri müsilajdan kurtulsun. Fakat her dalışımızda tekrar akıntıya rağmen müsilaj oluyor. Mercanların hayatlarını devam ettirebilmesi, deniz yaşamının devam etmesi adına bu müsilaj problemine karşı topyekün bir önlem almak durumundayız. Artık bu bölgesel bir afet değil, ulusal bir afet durumuna gelmiş durumdadır. Bu konuda tüm yetkilileri inisiyatif almaya davet ediyoruz" dediler.
Kaynak: İHA
En Çok Okunan Haberler